Lotes en Venta Villa Siquiman, Córdoba
Villa Parq. Siquiman, V. Parq.Siquiman
USD 22.000
📐
0m²
Superficie
Descripción
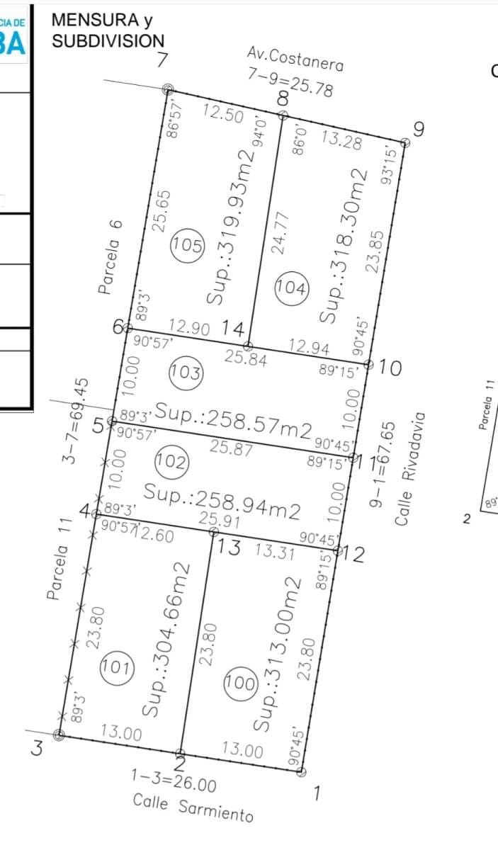
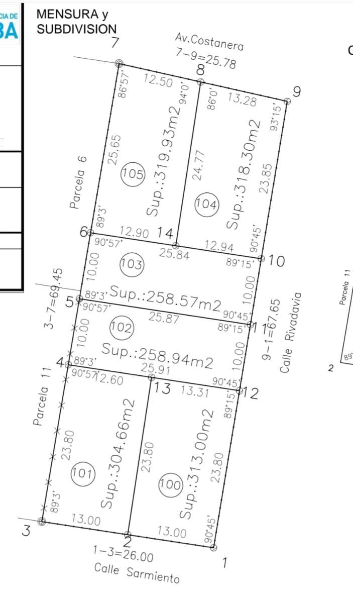
Lotes en Venta Villa Siquiman, Córdoba <br> <br> Excelente oportunidad de inversión en Villa Siquiman, sobre calles Rivadavia y Costanera. <br> <br> Se ofrecen varios lotes disponibles, con superficies amplias y muy buena ubicación, a pocos metros del lago y con fácil acceso desde la ruta. <br> <br> Terrenos listos para escriturar, con entorno natural, vistas abiertas y gran potencial de desarrollo. <br> <br> Una excelente opción para quienes buscan invertir en una zona en crecimiento, rodeada de naturaleza y con rápido acceso a Villa Carlos Paz y Córdoba Capital. <br> <br> CONSULTAR PRECIOS Y DISPONIBILIDAD <br> Consultanos para más información o coordinar una visita.
Información adicional
ID de la propiedad
ae2e827d-e99f-4f31-892b-f8bf0c235003
Publicado
19/12/2025
